Jannah Theme
License is not validated, Go to the theme options page to validate the license, You need a single license for each domain name.
الأربعاء, مايو 27 2026
أخبار عاجلة
مؤسسة التعليم من أجل التوظيف في دولة الإمارات (EFE-UAE) تطلق برنامج «أجيال 2026» في الجامعة الأمريكية في رأس الخيمة لتمكين الشباب بمهارات الذكاء الاصطناعي والاقتصاد الأخضر
شركة CNTXT AI تكشف عن «منصت إيدج» (Munsit Edge): تقنية ذكاء اصطناعي عربية تتيح التحويل الفوري والخاص للكلام إلى نص على الهواتف والسيارات والأجهزة الذكية
تُرسِّخ شركة “كرون تكنولوجيز” مكانتها العالمية في مجال الأمن السيبراني
أدوية بيطرية: كيف تختار العلاج المناسب وتحافظ على صحة الحيوان؟
السعودية تتبرع بمليوني دولار لدعم “الأونروا” وبرامجها | الخليج أونلاين
لماذا يتحدث الإعلام العبري عن «حرب باردة» بين إسرائيل ومصر؟
“لحظة اختبار”.. رسالة مؤثرة من إسلام عيسى بعد إصابته بالصليبي
العواصف الترابية تهدد صحتك.. نصائح مهمة لمرضى الحساسية
مهاجرو القرن الأفريقي… ضحايا الحوثيين وشبكات التهريب
300+ اسئلة دينية عن الانبياء والرسل واجوبتها 2026
فيسبوك
X
بينتيريست
يوتيوب
انستقرام
Paypal
تسجيل الدخول
مقال عشوائي
إضافة عمود جانبي
القائمة
بحث عن
الوضع المظلم
الرئيسية
الاخبار
الكل
اخبار الخليج
اخبار الشرق الأوسط
اخبار الاقتصاد
تكنولوجيا
الرياضة
الصحة والجمال
لايف ستايل
مقالات
منوعات
ثقافة وفنون
الرياض
42
℃
تسجيل الدخول
مقال عشوائي
إضافة عمود جانبي
الوضع المظلم
بحث عن
الرئيسية
/
ميليسا
ميليسا
اخبار الخليج
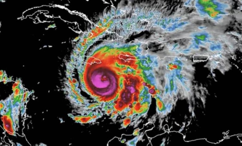
«ميليسا» يخلف دماراً هائلاً في الكاريبي.. ويضرب 5 دول
محمد السواح
نوفمبر 1, 2025
0
أكتوبر 30, 2025
0
جامايكا تتحول إلى خراب بعد «ميليسا» المدمر
أكتوبر 28, 2025
0
«ميليسا» يعصف بالكاريبي.. 3 قتلى وتحذيرات من فيضانات كارثية!
أكتوبر 26, 2025
0
«ميليسا» تقترب.. و«الكاريبي» تحذّر من انهيارات كارثية!
يونيو 24, 2025
0
عارضة أزياء تثير الجدل بنشر رسائل خاصة من 3 لاعبين
إغلاق
بحث عن
إغلاق
بحث عن
إغلاق
تسجيل الدخول
نسيت كلمة المرور؟
تذكرني
تسجيل الدخول